Geografia da Amizade

Geografia da Amizade

Amizade...Amor:
Uma gota suave que tomba
No cálice da vida
Para diminuir seu amargor...
Amizade é um rasto de Deus
Nas praias dos homens;
Um lampejo do eterno
Riscando as trevas do tempo.
Sem o calor humano do amigo
A vida seria um deserto.
Amigo é alguém sempre perto,
Alguém presente,
Mesmo, quando longe, geograficamente.
Amigo é uma Segunda eucaristia,
Um Deus-conosco, bem gente,
Não em fragmentos de pão,
Mas no mistério de dois corações
Permutando sintonia
Num dueto de gratidão.
Na geografia
da amizade,
Do amor,
Até hoje não descobri
Se o amigo é luz, estrela,
Ou perfume de flor.
Sei apenas, com precisão,
Que ele torna mais rica e mais bela
A vida se faz canção!

"Roque Schneider"



Quem sou eu

Salvador, Bahia, Brazil
Especialista em Turismo e Hospitalidade, Geógrafa, soteropolitana, professora.

quarta-feira, 31 de agosto de 2011

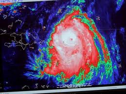
Como é escolhido o nome de um furacão?



Enquanto os nomes dados aos furacões atuais - incluindo Earl, Igor e Fiona - podem parecer simples, o sistema de nomeação de furacões tem uma história longa e complicada. Desde o uso de pontos de localização de latitude e longitude para palavras de código militar, o caminho para aperfeiçoar um sistema de nomes de furacões tem sido acidentado - e ainda está em evolução. As informações são do site Little Life's Mysteries.
Originalmente, eram dados aos furacões nomes de santos que foram homenageados no dia em que ocorreu, segundo a National Oceanic and Atmospheric Administration. Por exemplo, o furacão Santa Ana de 1825 se formou em 26 de julho, o dia dedicado à santa.
Se dois furacões se formassem na mesma data, a mais recente tempestade tinha um sufixo incluso em seu nome. Por exemplo, o furacão San Felipe atingiu Porto Rico em 13 de setembro de 1876, e outra tempestade atingiu a área em 13 de setembro de 1928. A tempestade última foi nomeada de San Felipe II.
Mais tarde, as posições de latitude e longitude foram utilizadas no processo de nomeação. No entanto, este método de identificação incômodo era confuso durante a comunicação de rádio e mais sujeito ao erro, de acordo com a NOAA. Os Estados Unidos vetou em 1951 a favor de um sistema de nomeação com base no alfabeto fonético (incluindo nomes como Able, Baker e Charlie), desenvolvido pelos militares.
Este sistema também provou ser muito confuso, por isso, em 1953 , os meteorologistas começaram a usar nomes atribuídos pelo Centro Nacional de Furacões. Inicialmente, todas as nomes de furacões eram do sexo feminino, Com o primeiro furacão "menina" chamada Maria , depois da heroína do 1941 romance de "A Tempestade", de George Rippey Stewart, de acordo com a NOAA.
"Em uma decisão muito acertada, os nomes dos homens foram introduzidos em 1979, e agora estão em rotação com os nomes das mulheres", disse Dennis Feltgen , porta-voz do Centro Nacional de Furacões. Agora, os nomes de furacões são determinados pela Organização Meteorológica Mundial, com sede em Genebra. A OMM é responsável por atualizar as listas das seis regiões do mundo.
Para tempestades do Atlântico, o Centro Nacional de Furacões criou seis listas de nomes de furacões que são mantidos e atualizados pela OMM, através de uma comissão de voto internacional. As listas contêm os nomes em Francês, Espanhol, Holandês e Inglês, porque "os furacões afetam outras nações e são controlados pelos serviços públicos e do tempo de muitos países", segundo a NOAA.
As seis listas são mantidas em constante rotação. Por exemplo, a lista de nomes de 2010 será usada novamente em 2016. Porém, se um furacão é especialmente devastador, como o Katrina em 2005, é realizada uma votação para determinar se seria inapropriado usar o nome novamente. Se o nome é retirado da lista, outro nome é selecionado e votado para substituí-lo, diz Feltgen.
Os nomes dos seis listas podem ser bastante originais, em 2010, os furacões Gaston , Otto, Shary e Virginie.

Nenhum comentário:

Postar um comentário